강아지의 털 빠짐은 자연스러운 현상입니다. 대다수의 강아지는 봄과 가을에 털갈이를 많이 합니다. 하지만 과도하게 털이 빠질 경우에는 몸에 이상이 있다는 신호입니다. 초기에 해결되지 않으면 온몸에 털이 빠질 수도 있습니다. 털 빠짐의 원인은 다양합니다. 털은 피부와 맞닿아 있어서 피부 상태 또는 영양상태가 좋지 않을 경우 털이 빠질 수도 있습니다. 반려견 털 빠짐의 시기와 원인 그리고 예방법에 무엇이 있는지 확인해 보겠습니다.

강아지 털의 역할
강아지의 털은 강아지의 피부를 보호하는 역할을 합니다. 강아지의 털의 기능은 추운 날씨에 강아지를 보호하는 역할을 합니다. 털은 몸을 따뜻하게 유지하고 온도 조절에 도움을 줍니다. 강아지의 털은 자외선 차단, 곤충 물림으로부터 피부를 안전하게 지켜줍니다. 또한 통기성이 좋아서 공기가 피부 주위로 흐르면서 피부를 건조하고 건강하게 유지시켜 줍니다. 강아지의 털의 패턴과 색상을 통하여 강아지 품종을 식별하는데 도움을 줍니다. 털 관리를 통해 강아지의 외모를 아름답게 유지할 수 있습니다.
털갈이 주기
강아지의 털 갈이 시기는 견종마다 다릅니다. 털갈이 시즌은 계절에 따라 달라지는데 일 년 내내 털갈이를 하는 종류가 있고 1-2회만 털갈이를 하는 경우가 있습니다. 지속적으로 털이 자라는 견종은 털 빠짐 주기가 길어서 털의 양이 적습니다. 반면 털갈이 주기가 짧고 속 털이 풍부하여 빠지는 털의 양이 많은 견종도 있습니다. 또한 털이 빠지고 자라는 속도는 견종, 나이, 호르몬, 환경, 전체적인 건강에 따라 달라집니다. 계절적인 털 빠짐의 경우에는 날씨가 변하고 기온이 증가 또는 감소할 때 주로 발생합니다. 따뜻한 날씨와 긴 일광시간으로 인해 겨울에 난 털이 여름용으로 변환합니다. 또한 가을에는 추운 날씨로 인해 따뜻한 겨울털로 변환이 됩니다. 실내에서 주로 생활하는 반려견의 경우는 연중 내내 털갈이를 합니다.
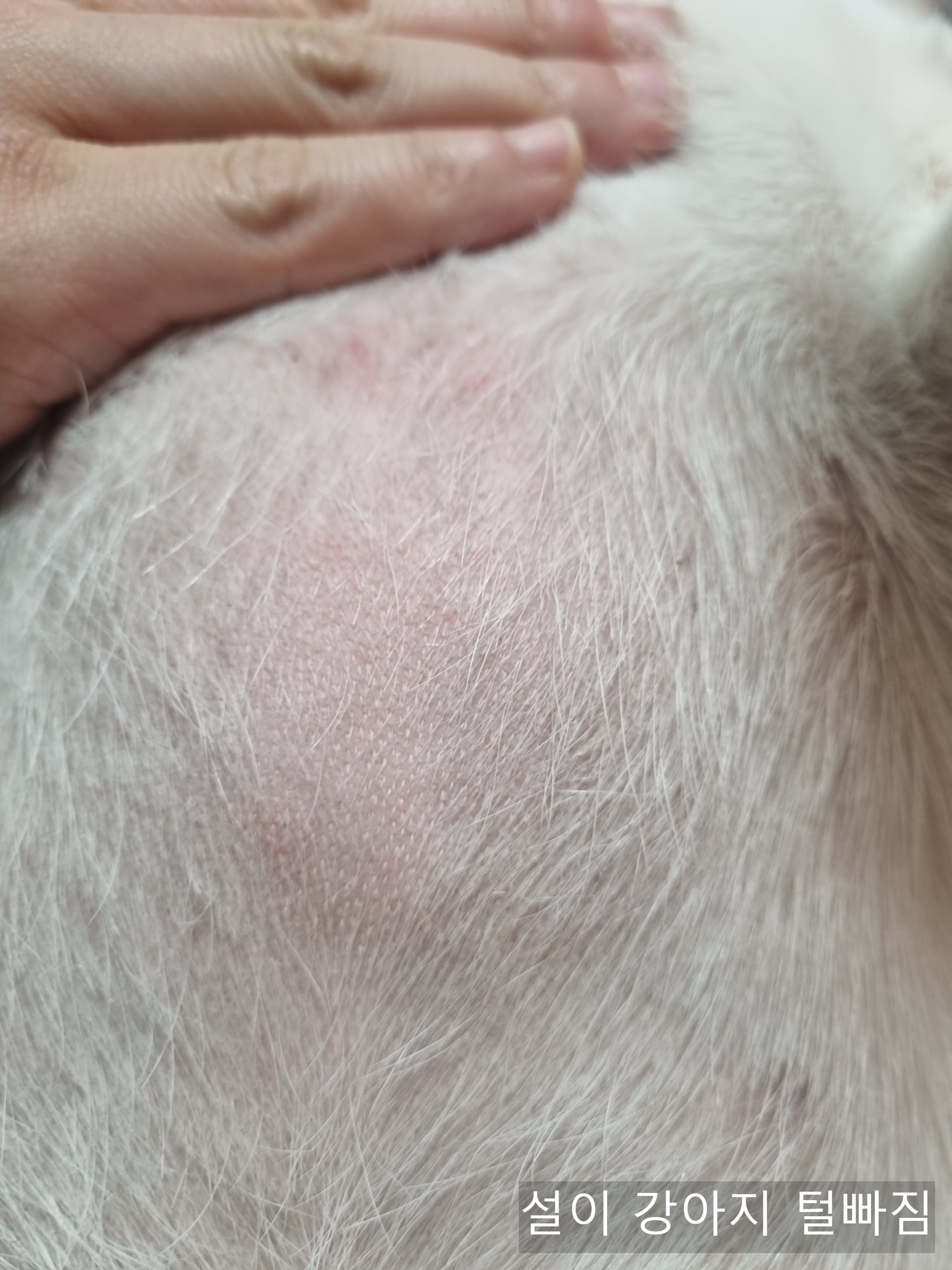
탈모의 원인
모든 털이 자라고 빠지는 과정은 생리적인 현상입니다. 털갈이 시기라고 하여도 과도하게 빠지게 된다면 건강상태를 의심할 수 있습니다. 특정 부위 털이 많이 빠진다면 탈모를 의심해 보아야 합니다. 피부병이나, 내분비 질환, 각종 영양소 부족은 탈모를 유발할 수 있는 원인이 될 수 있습니다. 스트레스 또한 탈모의 원인으로 작용합니다. 주변환경은 강아지를 불안하게 하지 않도록 합니다. 예를 들면 이사를 하거나 다른 반려동물과의 갈등, 불리불안으로 털 빠짐이 발생될 수 있습니다. 또한 노화로 인하여 털 빠짐이 발생될 수 있습니다. 노화로 인해 털이 성장률이 떨어져 털 빠짐을 촉진할 수 있습니다. 영양부족으로 인한 탈모를 예방하기 위해 올바른 반려견 사료와 영양을 제공합니다.
털 관리법
빗질은 반려견 관리의 필수 요건입니다. 반복적인 빗질로 속 털을 빠지게 해 주어야 피모가 더 건강하게 자랄 수 있습니다. 빗질을 자주 하게 되면 집안에 털이 많이 떨어져 지저분해지는 것을 방지할 수 있습니다. 또한 전문적인 빗을 사용하는 것도 중요합니다. 이중모는 털갈이를 심하게 하는데 이중모 전용 빗 도구를 사용하는 것이 효과적입니다. 브러시 종류는 다양합니다. 가볍게 빗질이 필요할 때는 마단핀 브러시를 사용, 엉킨 털을 풀 땐 콤브러시가 가장 적합합니다. 주기적으로 빗질을 통하여 반려견의 털관리가 필요합니다.
탈모 예방하는 방법
피부와 털 건강을 위하여 비타민과 미네랄이 풍부한 사료를 선택해야 합니다. 반려견의 건강 상태에 따라 올바른 사료를 제공해야 합니다. 또한 충분한 양의 물을 공급해 주어 피부와 털 건강을 유지시켜 줍니다. 털을 정기적으로 빗겨주어 먼지, 오염물, 이물질에 털이 묻지 않도록 청결한 상태를 유지해야 합니다. 강아지용 전용 샴푸를 사용하여 목욕을 시켜주어 PH를 맞춰 피부 건강 상태를 만들어야 합니다. 스트레스를 받지 않도록 자주 산책을 시켜주며 충분 한 칭찬과 긍정적인 사고방식을 갖도록 강아지의 행복도를 상승시켜 건강항 상태를 만들어야 합니다. 털에 벼룩이나 진드기가 묻지 않도록 정기적으로 예방약을 투여하고 주의 깊게 잘 관찰해야 합니다. 생활하는 환경을 청결하게 유지시켜 오염물질을 예방합니다.
'반려동물' 카테고리의 다른 글
| 강아지 시력 (0) | 2023.09.30 |
|---|---|
| 강아지가 핥는 원인과 해결방법 (1) | 2023.09.28 |
| 강아지 목욕방법과 주의사항 (0) | 2023.09.25 |
| 강아지 며느리발톱 부러짐 원인과 관리 방법 (0) | 2023.09.24 |
| 반려견 필수 영양소, 영양제 종류 및 주의사항 (1) | 2023.09.23 |